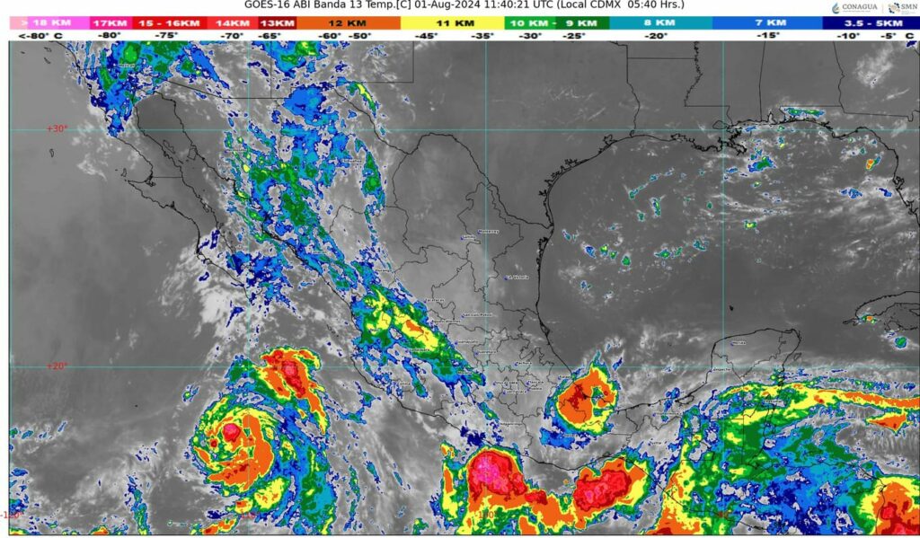
Canales de baja presión producirán chubascos y lluvias fuertes en zonas del norte, noreste, oriente, centro, occidente y sur de México, así como en la península de Yucatán.
#NACIONAL Buenos días 🌞El Servicio Meteorológico Nacional pronóstica que el monzón mexicano, en combinación con inestabilidad en niveles altos de la atmósfera, propiciará lluvias fuertes a muy fuertes con descargas eléctricas, rachas de viento y posibles granizadas en el noroeste del territorio nacional, además de posible formación de torbellinos en Sonora, Chihuahua y Coahuila.
Por otra parte, canales de baja presión se extenderán sobre el interior y sur del país, aunados al ingreso de humedad del océano Pacífico, golfo de México y mar Caribe, producirán chubascos y lluvias fuertes en zonas del norte, noreste, oriente, centro, occidente y sur de México, así como en la península de Yucatán; con lluvias puntuales intensas en Veracruz, Oaxaca y Chiapas.
Se mantendrá el ambiente caluroso a muy caluroso sobre el noroeste, norte, noreste y sureste de la República Mexicana, con temperaturas máximas superiores a 40 grados en Baja California, Baja California Sur, Sonora, Sinaloa, Chihuahua, Coahuila, Campeche y Yucatán.
La tormenta tropical Carlotta se ubicará al sur de Baja California Sur y se desplazará hacia el oeste-noroeste, alejándose de costas mexicanas.

